Amtliche Bekanntmachung: Allgemeinverfügung zur Benennung und Nummerierung der Baugrundstücke im Baugebiet „Lindengarten“ in 36329 Romrod Gemarkung Strebendorf
Die Benennung und Nummerierung von Grundstücken obliegen als örtliche Angelegenheit grundsätzlich dem Magistrat der Stadt Romrod als örtliche Gefahrenabwehrbehörde.
Der Magistrat der Stadt Romrod hat in seiner Sitzung am 12.09.2025 die Benennung und Nummerierung der anliegenden Grundstücke wie folgt beschlossen:
| Grundstücke | Künftige Bezeichnung |
| Strebendorf; Flur 1; Flurstück 194/4 | Lindengarten 29 |
| Strebendorf, Flur 1; Flurstück 195/4 | Lindengarten 31 |
| Strebendorf; Flur 1; Flurstück 195/3 | Lindengarten 33 |
| Strebendorf; Flur 1; Flurstück 196/3 | Lindengarten 35 |
| Strebendorf; Flur 1; Flurstück 196/4 | Lindengarten 37 |
| Strebendorf; Flur 1; Flurstück 196/5 | Lindengarten 39 |
| Strebendorf; Flur 1; Flurstück 197/4 | Lindengarten 41 |
| Strebendorf; Flur 1; Flurstück 188/18 | Lindengarten 14 |
| Strebendorf; Flur 1; Flurstück 13/3 | Lindengarten 16 |
| Strebendorf; Flur 1; Flurstück 10/4 | Lindengarten 18 |
| Strebendorf; Flur 1; Flurstück 9/4 | Lindengarten 20 |
| Strebendorf; Flur 1; Flurstück 197/3 | Am Kellersgarten 1 |
Im Vollzug des vorgenannten Beschlusses erlässt der Magistrat der Stadt Romrod als örtliche Gefahrenabwehrbehörde gem. § 35 Satz 2 Hessisches Verwaltungsverfahrensgesetz (HVwVfG) folgende Allgemeinverfügung:
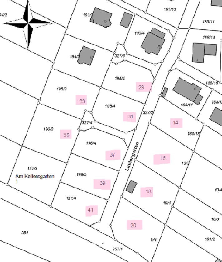
1. Für die im nachfolgenden Kartenausschnitt gekennzeichneten Grundstücke des Baugebiets „Lindengarten“ wird folgende Bezeichnung wie beschlossen festgelegt:
| Grundstücke | Künftige Bezeichnung |
| Strebendorf; Flur 1; Flurstück 194/4 | Lindengarten 29 |
| Strebendorf, Flur 1; Flurstück 195/4 | Lindengarten 31 |
| Strebendorf; Flur 1; Flurstück 195/3 | Lindengarten 33 |
| Strebendorf; Flur 1; Flurstück 196/3 | Lindengarten 35 |
| Strebendorf; Flur 1; Flurstück 196/4 | Lindengarten 37 |
| Strebendorf; Flur 1; Flurstück 196/5 | Lindengarten 39 |
| Strebendorf; Flur 1; Flurstück 197/4 | Lindengarten 41 |
| Strebendorf; Flur 1; Flurstück 188/18 | Lindengarten 14 |
| Strebendorf; Flur 1; Flurstück 13/3 | Lindengarten 16 |
| Strebendorf; Flur 1; Flurstück 10/4 | Lindengarten 18 |
| Strebendorf; Flur 1; Flurstück 9/4 | Lindengarten 20 |
| Strebendorf; Flur 1; Flurstück 197/3 | Am Kellersgarten 1 |
2. Die sofortige Vollziehung dieser Allgemeinverfügung wird gem. § 80 Abs. 2 Nr. 4 Verwaltungsgerichtsordnung (VwGO) in der derzeit gültigen Fassung angeordnet.
3. Widerspruch und Anfechtungsklage haben keine aufschiebende Wirkung.
4. Diese Allgemeinverfügung tritt am Tage ihrer amtlichen Bekanntmachung in Kraft.

Begründung der Anordnung der sofortigen Vollziehung
Die Anordnung der sofortigen Vollziehung der Allgemeinverfügung gem. § 80 Abs. 2 Nr. 4 VwGO ist im öffentlichen Interesse und unter pflichtmäßiger Abwägung der widerstreitenden Interessen gerechtfertigt und notwendig.
Die Benennung von Straßen und die Nummerierung von Gebäuden erfolgt unter anderem im Interesse der Allgemeinheit aus Gründen der öffentlichen Sicherheit und Ordnung.
Straßennamen und Hausnummerierungen sollen eine eindeutige und zuverlässige Orientierung im Stadtgebiet gewährleisten, die insbesondere bei Einsätzen des Rettungsdienstes von erheblicher Bedeutung ist. Im Falle eines etwaigen Widerspruchsverfahrens könnten Missverständnisse über Orientierungsschwierigkeiten führen, die einer schnellen und reibungslosen Auffindbarkeit von Adressanten entgegenstehen. Eine Gefahr für Leib und Leben kann nicht ausgeschlossen werden und stellt demnach eine Gefährdung der öffentlichen Sicherheit dar.
Das mögliche Interesse einer/eines Einzelnen an der aufschiebenden Wirkung des Widerspruchs hat demnach gegenüber dem öffentlichen Interesse, d.h. der Gewährleistung der öffentlichen Sicherheit, an der sofortigen Vollziehung zurückzutreten.
Rechtsbehelfsbelehrung
Gegen diese Allgemeinverfügung kann innerhalb eines Monats nach Bekanntgabe Widerspruch erhoben werden. Der Widerspruch ist bei dem Magistrat der Stadt Romrod, Jahnstraße 2 in 36329 Romrod einzureichen.
Romrod, den 19.09.2025
Der Magistrat der Stadt Romrod
gez. Hauke Schmehl
(Bürgermeister)